LA GROTTA DELLA MERLA – VG 6173
Pubblicato sul n. 56 di PORGRESSIONE – Anno 2009
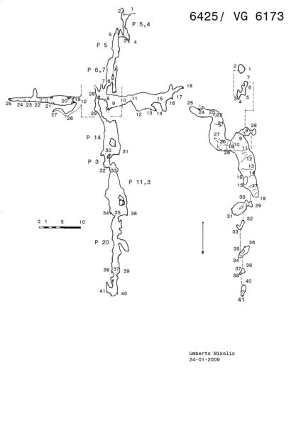
L’ingresso di questa cavità è stato individuato nel 1999 dal nostro socio, profondo conoscitore del Carso, Elio Polli, sul fianco di una dolinetta a destra della carrareccia che da Trebiciano porta a Gropada. Aperto l’ingresso con lavoro di scavo, con l’opera, in particolare, di Luciano Filipas, Lucio Comello e Maurizio Glavina, la cavità è stata rilevata sommariamente da questi ultimi due. Nel 2009 si è quindi eseguito un rilievo più preciso.
Il pozzo d’accesso si presenta un pò imbutiforme. Superata una strettoia a –3, si giunge in breve su alcuni massi. Non bisogna scendere nel punto più basso, ma infilarsi in una strettoia orizzontale che sbocca nel secondo pozzo, sormontato da un caminetto. Si scendono quindi tre salti e si giunge ad un bivio. Verso NE si accede in breve ad una caverna, mentre verso W una strettoia dà adito alla via del fondo. La caverna è composta da due rami: il principale, che si sviluppa verso N, è piuttosto fangoso con dei saliscendi di cui uno ben concrezionato, dall’andamento sinuoso verso SE, che all’inizio è caratterizzato dalla presenza di un cunicolo discendente nell’argilla che si sviluppa sotto il pavimento del ramo stesso. In questa galleria le concrezioni sono ricche ed abbondanti, ma dopo una quindicina di metri la volta si abbassa ed in breve l’avanzata è preclusa. Imboccando il ramo del fondo, si scende un pozzo stretto ed eroso, che dopo 5 metri diviene inclinato e dopo altri 3 sbocca in un vano maggiore caratterizzato dalla presenza di un grosso ponte naturale. Sceso uno stretto pozzetto di m 3 s’imbocca una scomoda strettoia orizzontale che sbocca in un successivo pozzo a campana, anch’esso caratterizzato verso il fondo da un grosso ponte naturale, costituito da blocchi incastrati. Il pozzo finale di m 20 si presenta stretto, eroso e franoso ed ha richiesto diversi lavori di allargamento. Il suolo è detritico e vi è una stanzetta laterale in lieve salita.
Dati catastali: 6425/ VG 6173 CTR 1:5000 110113 – Padriciano 13°50’10”0 – 45°40’13”2, quota ingresso m 368, sviluppo m 76, profondità m 68,5, profondità pozzo accesso m 5,4, pozzi interni m 5/ 6,7/ 3,5/ 14/ 3/ 11,3/ 20, scopritore e posizione: Silvio Polli 1999, primo rilievo Maurizio Glavina – Lucio Comello 02-08-2000, revisione attuale Umberto Mikolic 24-01-2009.
